上池袋3丁目土地

1億6,800万円

東京都豊島区上池袋3丁目1-10

東武東上線「北池袋」駅徒歩8分

埼京線「板橋」駅徒歩15分

価格
1億6,800万円
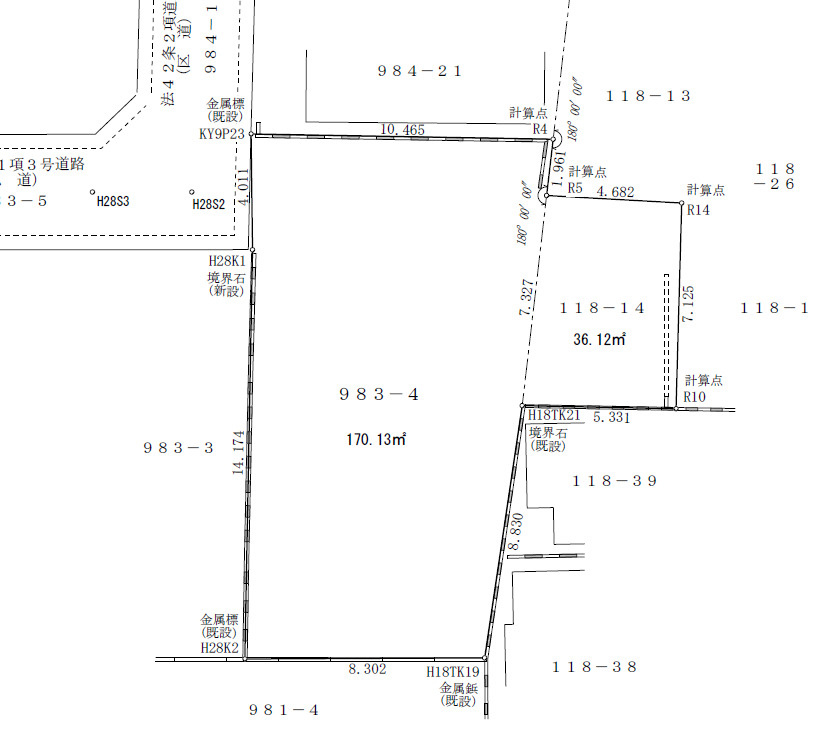
土地面積(坪数)
195.60㎡(59.16坪)
所在地
東京都豊島区上池袋3丁目1-10
築年
-(-)
駐車
-
交通

東武東上線北池袋」駅 徒歩8分

埼京線板橋」駅 徒歩15分

上池袋3丁目土地の基本情報

物件名
上池袋3丁目土地
価格
1億6,800万円
土地面積
195.60㎡
築年月
-(-)
総区画数
-
所在地
東京都豊島区上池袋3丁目1-10
交通

東武東上線北池袋」駅 徒歩8分

埼京線板橋」駅 徒歩15分

上池袋3丁目土地の詳細情報

設備条件
設備(その他)
    -
駐車場/月額
-/-
土地権利
所有権
国土法届出
不要
用途地域
第一種中高層住居専用
区画数
- / -
管理形態
-
管理員の勤務形態
-
管理会社
-
取引態様
仲介
引渡し
相談
開発許可番号
-
備考
堀之内公園まで209mです。豊島中央病院まで36mです。土地購入をお考えの方に好条件の売地が多数あります。傾斜地よりも工事費をダウンさせやすいのが平坦地です。不動産探しは経験豊富な不動産のプロフェッショナルが揃う当社にお任せください。お客様にご満足いただけるよう、親切丁寧なサポートを心がけております。

上池袋3丁目土地のコメント(おすすめポイント)

お目当ての建築会社やハウスメーカーで、マイホームを建てることができる建築条件なし。傾斜地よりも工事費をダウンさせやすいのが平坦地です。土地面積は195.6㎡(公簿)でイチオシ。周辺環境も良好なエリアにある売地です。豊島区エリアの住環境について、地域を知り尽くしているスタッフが適切にご案内いたします。不動産探しのことなら、どのようなことでもお気軽にお問い合わせください。

上池袋3丁目土地で募集中の物件

  1. 59.16坪 (195.60㎡)

    16,800万円(283.98万円/坪)

上池袋3丁目土地

お気軽にお問い合わせください

無料お問い合わせ

株式会社エクスクローザー

048-483-4591

9:00-18:00

(休:水曜日)